27 Tingidae

Corythucha marmorata

Physatocheila fieberi

Physatocheila orientis

Stephanitis nashi

Metasalis populi
30 Anthocoridae

Anthocoris japonicus

Anthocoris venustus
35 Miridae

Gigantomiris jupiter

Coridromius chinensis
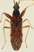
40 Reduviidae

Cydnocoris russatus

Oncocephalus femoratus
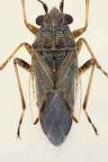
43 Lygaeidae

Dimorphopterus japonicus

Macropes obnubilus

Iphicrates spinicaput

Geocoris varius

Pylorgus colon

Arocatus sericans

Tropidothorax cruciger

Nysius hidakai

Pachygrontha similis

Pamerana scotti

Stigmatonotum geniculatum

Scudderocoris albomarginatus

Ninomimus flavipes
49 Malcidae

Malcus japonicus
53 Coreidae

Hygia opaca
54 Rhopalidae

Rhopalus maculatus
57 Plataspididae

Coptosoma parvipictum

Megacopta cribraria
58 Cydnidae

Macroscytus japonensis
60 Pentatomidae

Eysarcoris annamita

Hermolaus amurensis

Scotinophara lurida
61 Acanthosomatidae

Elasmucha cf. amurensis
70 Urostylididae

Urostylis annulicornis
Machaerotidae

Hindoloides bipunctata
Cicadellidae

Ledropsis discolor

Penthimia nitida
Issidae

Gnezdilovius variabilis