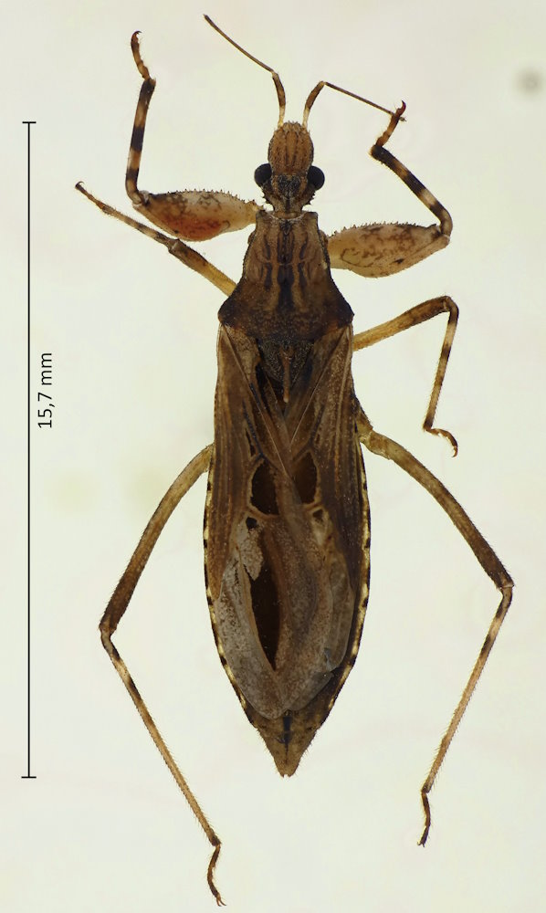
Oncocephalus femoratus Reuter, 1882, モモブトトビイロサシガメ

Familie: Reduviidae / Stenopodaeinae

Verbreitung: Japan außer Hokkaido

Oncocephalus femoratus
17.4.2025; Ufer des Biwa-ko, Kusatsu-shi; Präf. Shiga.

Die Gattung kommt in Japan mit 7 teils außerordentlich ähnlichen Arten vor, die fast alle von Reuter 1882 beschrieben wurde.