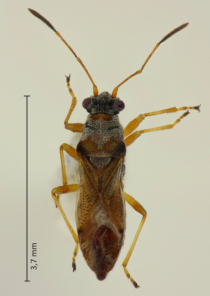
Ninomimus flavipes (Matsumura, 1913), ホソメダカナガカメムシ

Familie: Lygaeidae / Nininae

Verbreitung: Ostasien.

Ninomimus flavipes
21.7.2023; Sasamagadake; Otsu; Präf. Shiga.

Die Gattung ist mit 2 oder 3 Arten in Japan vertreten. Zusammen mit einigen verwandten Gattungen (Ninus, Cymoninus, Neomimus und Paraninus) wird sie heutzutage auch in eine eigene Familie Ninidae gestellt.