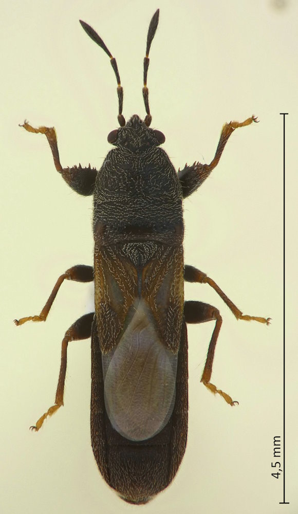
Macropes obnubilus (Distant, 1883), ホソコバネナガカメムシ

Familie: Lygaeidae / Geocorinae / Geocorini

Verbreitung: ganz Japan; Ostasien.

Macropes obnubilus
20.4.2025; Omihachiman; Präf. Shiga.

Innerhalb ihrer Unterfamilie ist die Art in Japan an ihren einfachen Hinterschenkeln und den mit zahlreichen Dornen versehenen Vorderschenkeln zu erkennen.