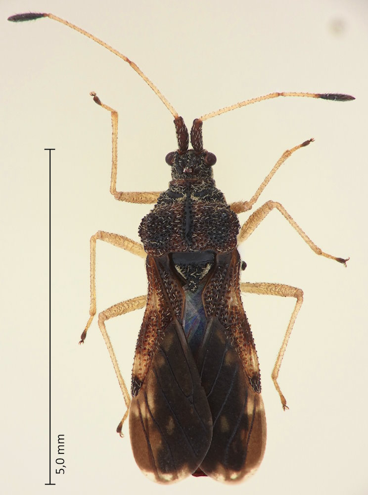
Malcus japonicus Ishihara & Hasegawa 1941, オオメダカナガカメムシ

Familie: Malcidae / Malcinae

Verbreitung: Japan (Honshu, Shikoku, Kyushu).

Malcus japonicus
23.4.2025; Oboke-Canyon, Yoshi-shi, Präf. Tokushima, Shikoku.
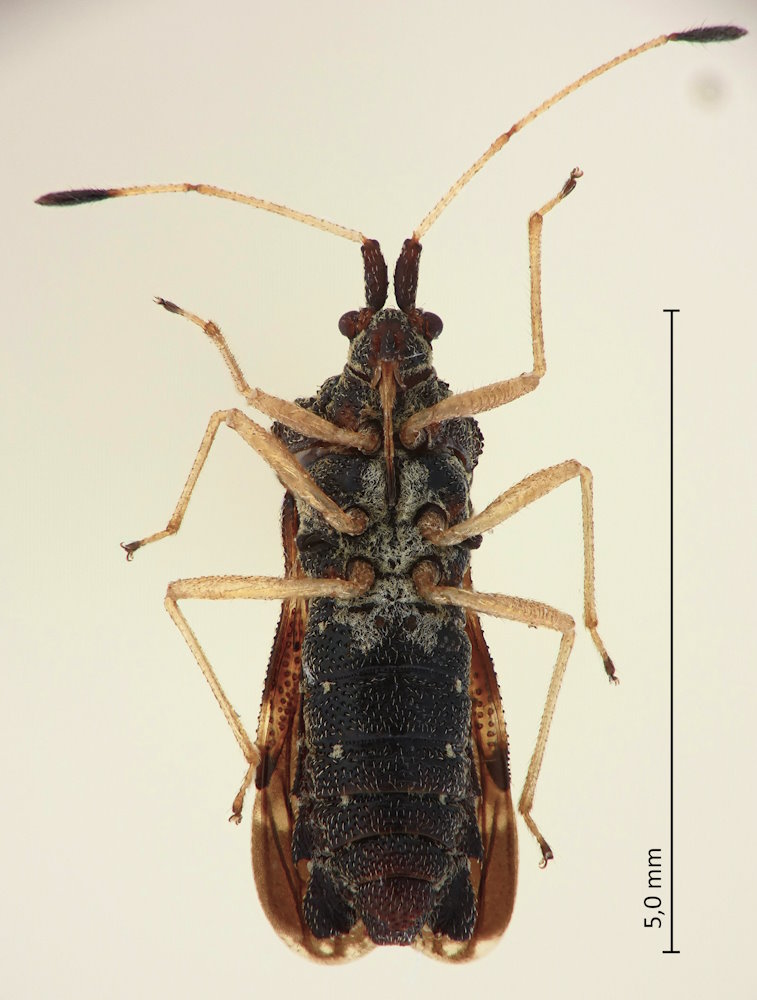
Malcus japonicus
Unterseite; 23.4.2025; Oboke-Canyon, Yoshi-shi, Präf. Tokushima, Shikoku.