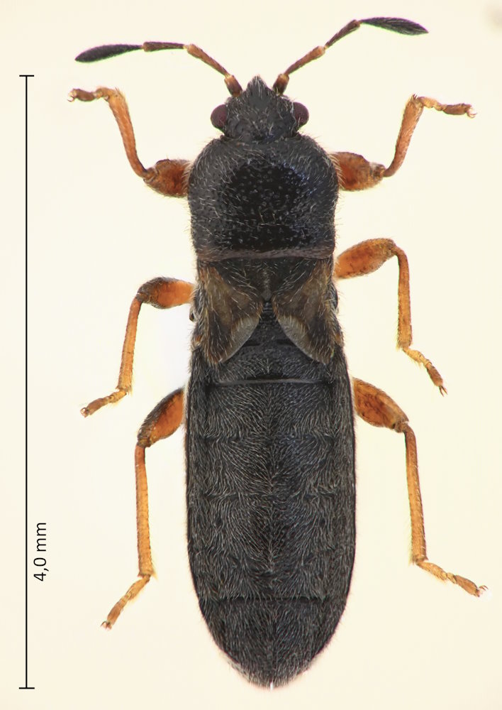
Dimorphoterus japonicus (Hidaka, 1959), ニッポンコバネナガカメムシ

Familie: Lygaeidae / Blissinae / Blissini

Verbreitung: Japan (Honshu, Shikoku, Kyushu), Korea, Russland.

Dimorphoterus japonicus
23.4.2025; Oboke-Canyon, Yoshi-shi, Präf. Tokushima, Shikoku.

In Japan kommt noch eine weitere, sehr ähnliche Art vor, Dimorphopterus spinolae (Signoret, 1857), deren Unterscheidung mir nicht klar ist. Die Originalbeschreibungen der beiden Arten geben nichts her und auf Bildern sehe ich keinen Unterschied. D. japonicus wurde 1978 mit spinolae synonymisiert, 1988 aber wieder als gültige Art wiederhergestellt. Allerdings sind die beiden Arten geografisch getrennt: D. spinolae kommt nur auf Hokkaido und den umgebenden Inseln vor, D. japonicus südlich davon, so dass hier nur letztere in Frage kommt.