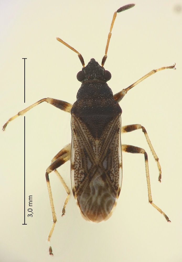
Verbreitung: Japan (außer Hokkaido), eine weitere Unterart in Südasien.
17.4.2025; Ufer des Biwa-ko, Kusatsu-shi; Präf. Shiga.
In Japan gibt es noch zwei weitere Arten der Gattung, S. rufipes(Motschulsky, 1866) von den südlichen Inseln, und die neu beschriebene S. macronotumBan, 2023 aus Honshu.
Ban T.: A new species of the genus Stigmatonotum (Hemiptera: Heteroptera: Rhyparochromidae) from Japan, with notes on related species from the East Palaearctic and Oriental Regions. Acta Entomologica Musei Nationalis Pragae. 63(2): 265-278. 2023.