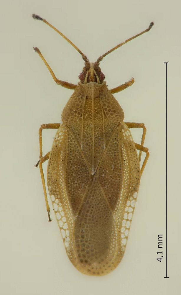
Die Art wird auch als Physatocheira orientis bezeichnet.
Jun Souma: New Japanese names or recently revised scientific names for 31 species in 15 genera of lace bugs (Heteroptera, Tingidae). Rostria, Transactions of the Hemipterological Society of Japan, No. 68, 2023.