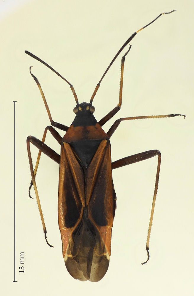
Gigantomiris jupiter Miyamoto & Yasunaga, 1988, アカスジオオカスミカメムシ

Familie: Miridae / Mirinae / Mirini

Verbreitung: Japan (Honshu, Shikoku, Kyushu).

Gigantomiris jupiter
12.7.2023; Tateshina; Präf. Nagano.

Obwohl die Art scheints gar nicht selten ist, ist sie erst 1988 beschrieben worden:

Sie ist für eine Weichwanze mit 12-13 mm außergewöhnlich groß. Die Färbung ist sehr variabel. Meist ist sie so wie auf dem Bild: rot mit schwarzer Zeichnung. Sie kann aber auch gelb oder orange statt rot sein, die schwarzen Färbung kann ganz reduziert oder auch stark ausgeweitet sein. Konstant ist aber der kleine schwarze Kopf mit den beiden blassgelben Makeln, und der schwarze Vorderteil des Pronotums. Die Art ist soweit ich weiß die einzige der Gattung.