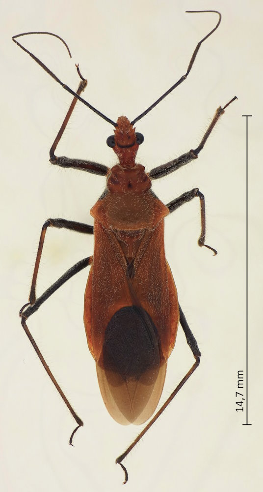
Cydnocoris russatus Stål, 1866, アカサシガメ

Familie: Reduviidae / Harpactorinae

Verbreitung: Japan außer Hokkaido, tropisches Asien.

Cydnocoris russatus
23.4.2025; Oboke-Canyon, Yoshi-shi, Präf. Tokushima, Shikoku.

Die Gattung ist neuerdings in Cutocoris Stål, 1859 umbenannt worden. Wie Swanson aber feststellt, hat Stål für den Namen Cutocoris keine Typus-Art festgelegt, weshalb ich mich frage, ob er gültig ist, und hier lieber beim alten Namen Cydnocoris bleibe.