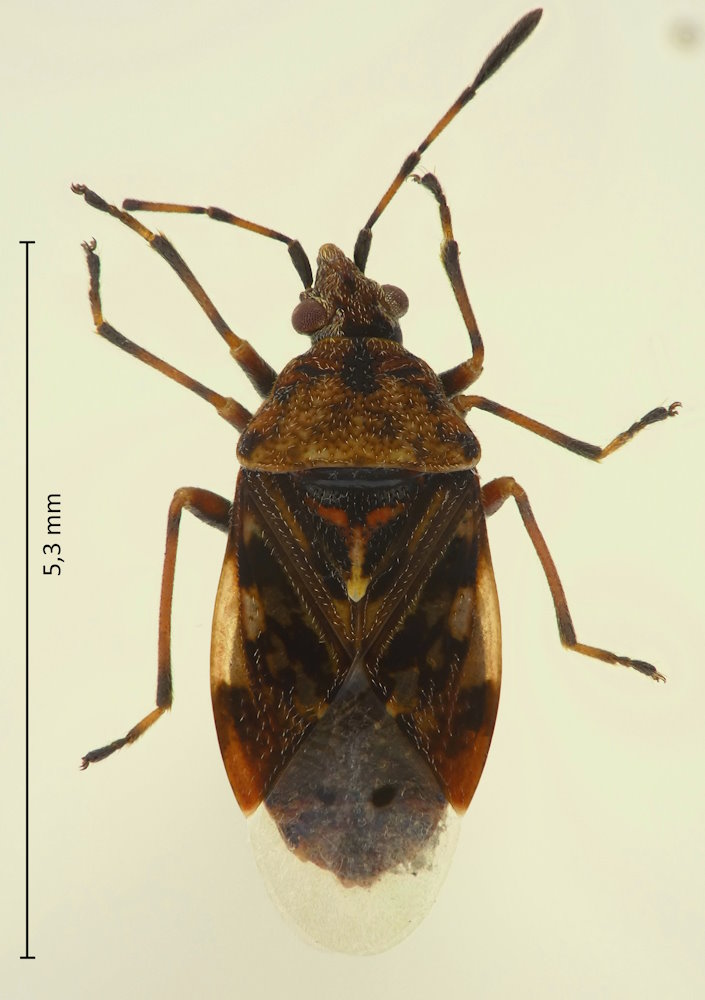
Pylorgus colon (Thunberg, 1784), ムラサキナガカメムシ

Familie: Lygaeidae / Ischnorhynchinae

Verbreitung: Japan (Honshu, Shikoku, Kyushu).

Pylorgus colon
1.7.2023; Kusatsu, Präf. Shiga.

Diese hübsche Art ist aufgrund ihrer Färbung eigentlich unverwechselbar. Die beiden anderen Arten der Gattung in Japan, P. ishiharai und P. yasumasui haben einen länglicheren und weniger stark gemusterten Körper.