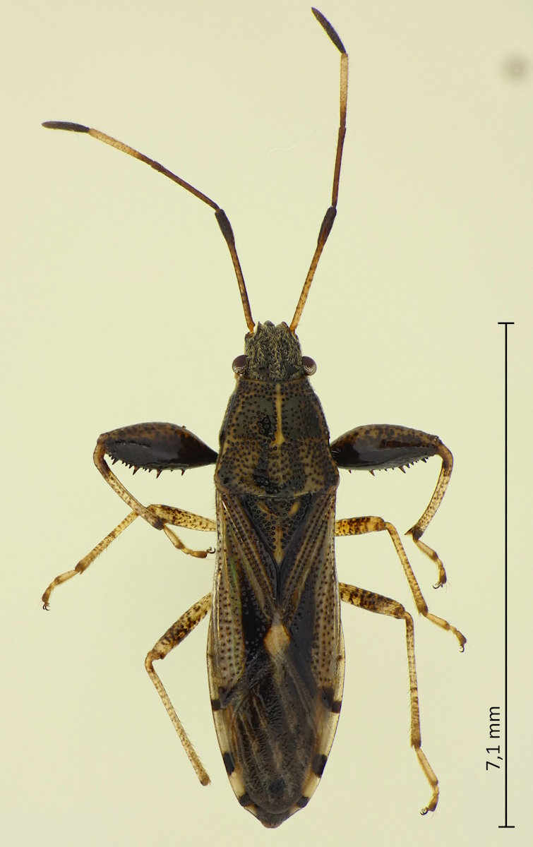
Pachygrontha similis Uhler, 1896, クロスジヒゲナガカメムシ

Familie: Lygaeidae / Pachygronthinae

Verbreitung: Japan (außer Hokkaido); China.

Pachygrontha similis
16.4.2025; Kusatsu; Präf. Shiga.

Die Unterfamilie Pachygronthinae der Lygaeidae hat man in Europa nicht so auf dem Schirm. Die rund 80 Arten sind hauptsächlich in den Tropen und Subtropen der ganzen Welt verbreitet, nur wenige Arten kommen, in Ostasien und in Nordamerika, nach Norden bis in die gemäßigten Breiten vor.

Auf den Hauptinseln Japans ist die Unterfamilie mit der Gattung Pachygrontha und drei Arten, similis, antennata und bipunctata vertreten, welche auf den ersten Blick recht ähnlich aussehen, sich aber im Detail der Farbgebung doch deutlich unterscheiden. P. similis hat in der Regel ausgedehnte dunkle Zeichnungselemente, insbesondere hat das Corium außer dem schwarzen Apex auch einen breit schwarzen Innenrand, und unmittelbar neben dem schwarzen Spitzenfleck ist auch das Connexivum schwarz gefleckt. Das dunkle 4. Fühlerglied ist zu dem helleren 3. Fühlerglied stark kontrastiert.