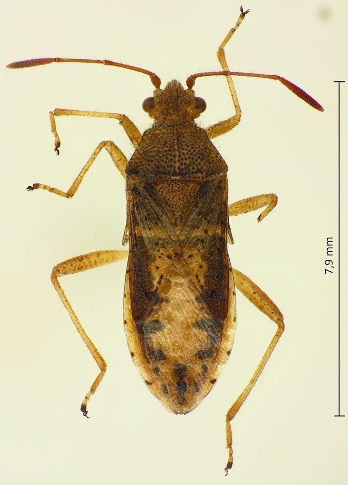
Rhopalus maculatus (Fieber, 1837), アカヒメヘリカメムシ

Familie: Rhopalidae / Rhopalinae

Verbreitung: Eurasien; in Japan von Hokkaido bis nach Amami-Oshima.

Rhopalus maculatus
22.4.2025; Kurashiki-shi; Präf. Okayama.

Die Art ist meines Eindrucks nach in Japan überall recht häufig und nicht an besonders feuchte Lebensräume gebunden.