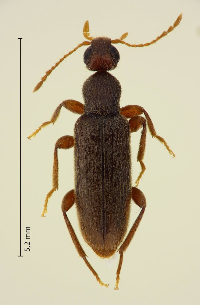
Macratria serialis Marseul, 1876, アカクビボソムシ

Familie: Anthicidae / Macratriinae / Macratriini

Verbreitung: Japan (außer Hokkaido), Korea, Taiwan.

Macratria serialis
28.7.2023; Kusatsu; Präf. Shiga.

Die Art ist relativ einfarbig rotbraun, und der Augenabstand ist kleiner als bei den meisten anderen Arten der Gattung in Japan. Einen Schlüssel für die japanischen Macratria-Arten findet man auf der Seite von Macratria japonica.