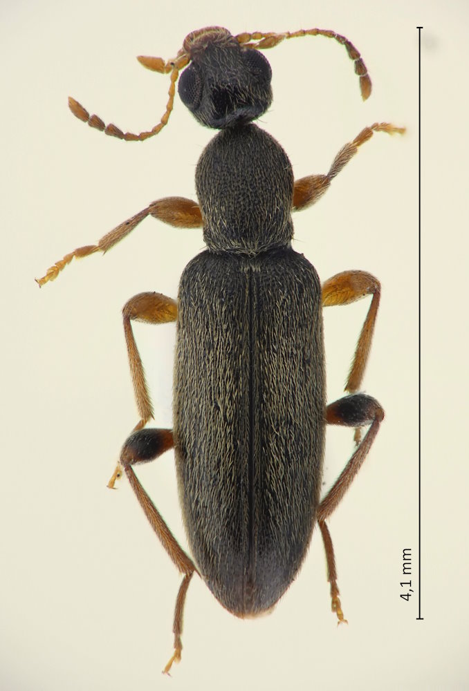
Macratria japonica Harold, 1877, キアシクビボソムシ

Familie: Anthicidae / Macratriinae / Macratriini

Verbreitung: Japan außer Ryukyus, Korea, Ostrussland.

Macratria japonica
19.7.2023; am Yasu-gawa; Kusatsu-shi; Präf. Shiga.

Die Gattung zeichnet sich in der Familie durch die drei verlängerten Endglieder der Fühler in Kombination mit dem abgeschnürten Halsschild aus. Die Art ist anhand der einfarbigen Flügeldecken und der dunklen Hinterschenkel recht einfach zu identifizieren. Allerdings wurden für Japan einige Arten beschrieben, zu denen ich keine neueren Angaben finde, und die recht unklar erscheinen. Da sie im Catalogue of Palaearctic Coleoptera aber geführt werden, habe ich sie im folgenden Schlüssel nach den Originalbeschreibungen eingefügt.

Bestimmungstabelle für die Macratria-Arten aus Japan

1 Dunkelbraun, Flügeldecken mit deutlicher Zeichnung aus weißen Haaren. Beine, Basis der Fühler rot. Die Endglieder der Fühler meist deutlich verdunkelt. 2
1* Flügeldecken einfarbig oder mehrfarbig, aber ohne deutliche Zeichnung aus weißen Haaren. 4
2 Flügeldecken auf der Vorderhälfte rot, auf der Hinterhälfte schwarz, mit einem bogenförmigen Querband aus weißen Haaren hinter der Schulter. Vorderbrust, Abdomen, die Schenkel und die ganzen Hinterbeine schwarz. Ca. 3,5 mm. Honshu.
Macratria cingulifera Marseul, 1876, オビクビボソムシ
2* Flügeldecken unter der weißen Behaarung durchaus rot, aber nicht in der gesamten Vorderhälfte. Zwei Arten von den südlichen Inseln. 3
3 Die weiße Zeichnung bildet ein ± vollständiges Querband in der vorderen Hälfte der Flügeldecken, das nur an der Naht kurz unterbrochen ist. Grundfarbe der Flügeldecken einfarbig dunkelbraun. Größer, (4-5 mm?). Südasien, in Japan gemeldet von Amami-Oshima, Toku-no-shima, Ishigaki-jima, Iriomote-jima.
Macratria griseosellata Fairmaire, 1893, フタモンクビボソムシ
3* Die weiße Zeichnung bildet zwei begrenzte Flecken in der vorderen Hälfte der Flügeldecken. Kleiner 3,4-3,8 mm. Amami-Oshima, Okinawa-jima.
Macratria bipunctata Nomura, 1962
4 Körper ganz glänzend schwarz, nur die Tarsen und die Basis der Fühler heller. 4,5-6 mm. Amami-Oshima, Okinawa-jima, Iriomote-jima, Nakano-shima; Taiwan.
Macratria atrata Nomura, 1962, クロクビボソムシ
Hierher wohl auch Macratria pelegrini Pic, 1923, welches von Pic ohne weitere Angaben aus Japan beschrieben wurde. Neue Informationen scheint es nicht zu geben. Die Erstbeschreibung von Pic gibt sehr gut die abgesetzt roten Tarsen von atrata wieder. Nach ihm ist die Art aber größer, ca. 7 mm, die Spitze des Kopfes und des Abdomens sind rot, und die Beine sind eher pechbrauch denn schwarz.
4* Oberseite pechbraun bis rotbraun. Zumindest ein Teil der Schienen und/oder Schenkel deutlich heller braun oder rot. 5
5 Körper ziemlich einfarbig rotbraun. Stirn vorne etwas schmäler als der Augenlängsmesser. Groß, ca. 7 mm. Ganz Japan außer Hokkaido; Taiwan, Korea.
Macratria serialis Marseul, 1876, アカクビボソムシ
5* Deutlich zweifarbig: Die Flügeldecken fast ganz pechbraun, die Beine und Fühler zum großen Teil hell rotbraun. Stirn breiter als der Augenlängsmesser. 6
6 Hinterschenkel in größerem Umfang verdunkelt, ebenso manchmal auch die Basen der Vorder- und Mittelschenkel. Fühler gegen die Spitze verdunkelt, aber nicht schwarz. Kleiner: 3-4 mm. Ganz Japan, und dort ziemlich häufig; Ostasien.
Macratria japonica Harold, 1877, キアシクビボソムシ
6* Alle Beine einfarbig rotbraun. Spitze der Flügeldecken oft deutlich rot gerandet. Spitze der Fühler schwarz. Größer: 5-5,7 mm. Honshu, Shikoku, Kyushu, Oki-Inseln, Shodo-shima.
Macratria fluviatilis Lewis, 1895, コクビボソムシ
Hierher wohl auch zwei unklare Arten, über die es keine neueren Daten gibt:
Macratria apicalis Lewis, 1895, welche sich nach der Orginalbeschreibung kaum von fluviatilis unterscheidet, wenn man davon absieht, dass der Kopf hinter den Augen und die Basis der Flügeldecken undeutlich rötlich aufgehellt sind. Die Art wurde von Honshu, Shikoku, Kyushu und Yakushima gemeldet.
Macratria antennalis Lewis, 1895, welche aus Honshu beschrieben wurde, und sich von fluviatilis dadurch unterscheidet, dass sie kleiner ist (4,25 mm), und die letzten Fühlerglieder nicht schwarz, sondern braun sind, und eher spindelförmig.
(G. Lewis F.L.S. (1895) L.: On the Cistelidæ and other Heteromerous species of Japan , Annals and Magazine of Natural History, 15:89, 422-448)