Cardiophorus ulcerosus (Gene, 1836)

Familie: Elateridae / Cardiophorinae

Verbreitung: Italien einschließlich Sizilien und Sardinien; Korsika.

Cardiophorus ulcerosus
31.5.2019; bei Otranto, Apulien, Italien.
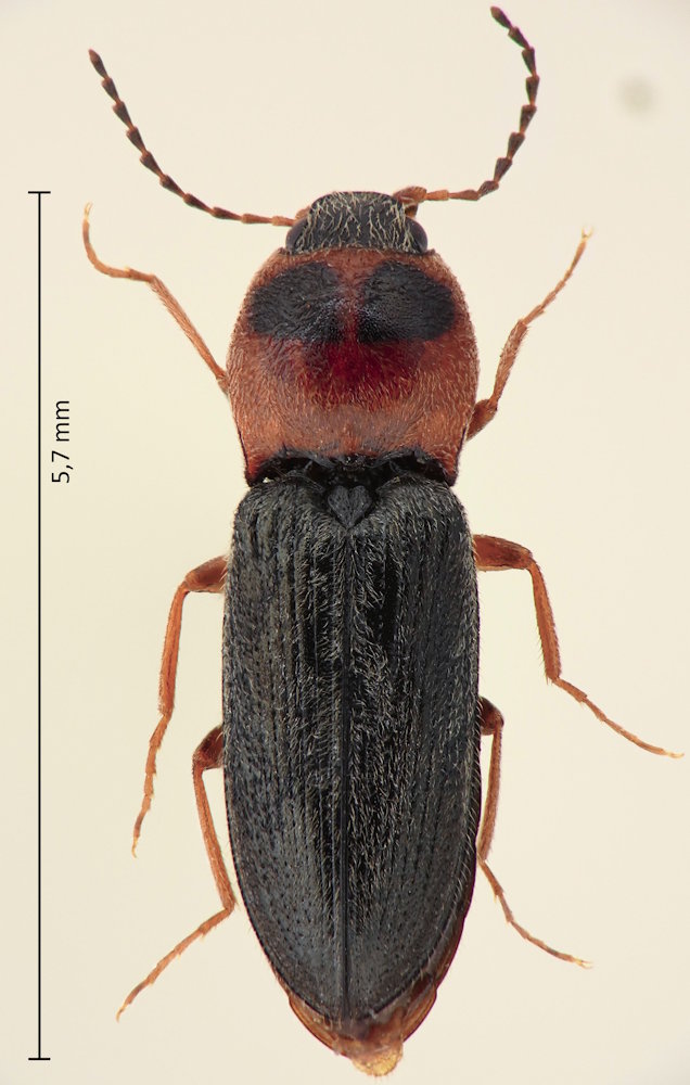
Cardiophorus ulcerosus
Unterseite; 31.5.2019; bei Otranto, Apulien, Italien.

Die Färbung der Art ist recht variabel. Der Halsschild ist oft, wie bei dem Exemplar oben, rot mit zwei schwarzen Makeln. Die schwarze Färbung kann aber auch so ausgedehnt sein, dass sie den ganzen Halsschild bis auf einen schmalen roten Vorderrand und die Hinterwinkel einnimmt. Auch die Unterseite ist in diesem Fall einfarbig schwarz.

Cardiophorus ulcerosus
27.5.2022; Cefalu, Sizilien, Italien.