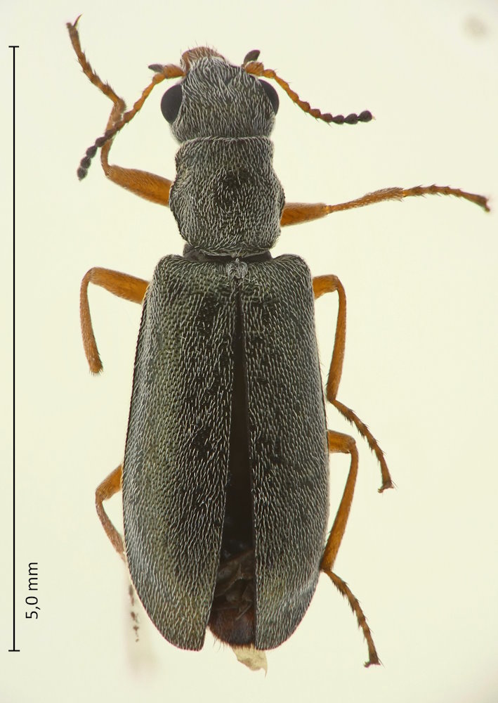
Danacea denticollis Baudi, 1861

Familie: Dasytidae / Danaceinae

Verbreitung: Alpen (Frankreich, Italien, Schweiz, Österreich).

Danacea denticollis
25.7.2024; Stanzertal, ca. 1900 m, Tirol, Österreich.

Die Art ist eigentlich in den West-Alpen verbreitet. Die Bestimmung erfolgte nach FHL mit Hilfe der folgenden Merkmale: Behaarung des Halsschilds in der Mitte nach vorne gerichtet, Endglied der Kiefertaster schwarz, Körper groß.