Es ist ganz erstaunlich, wie gut Lewis Originalbeschreibung auf mein Exemplar zutrifft und es von den anderen Arten der Gattung abgrenzt:
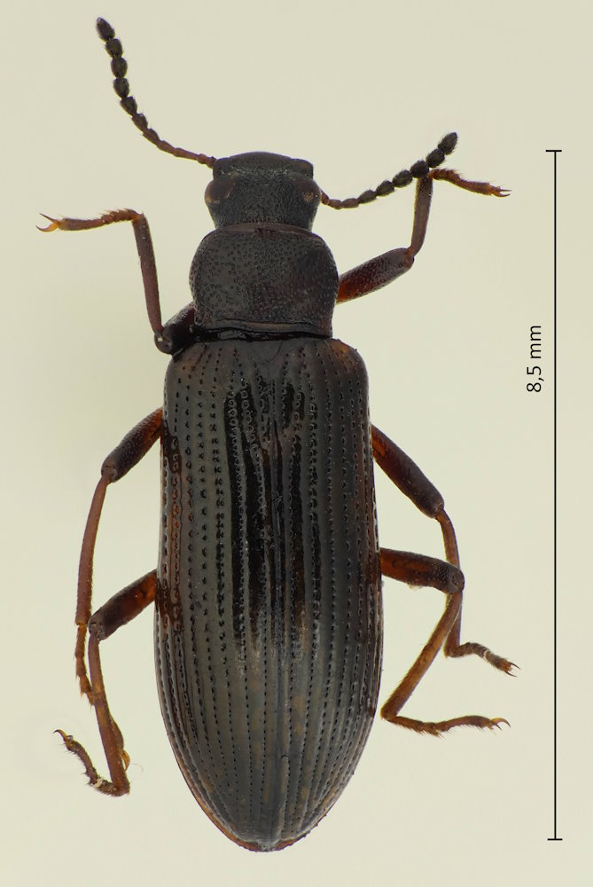
Braun (manchmal mit Messingglanz oder grünlichem Schimmer)
Kopf grob punktiert, manchmal mit einer kleinen glatten Fläche zwischen den Augen.
Halsschild vorne gerundet, mit zwei Eindrücken vor der Basis (auf meinem Bild nur zu erahnen, aber in natura sehr deutlich), sein Vorder- und Hinterrand rötlich.
Flügeldecken grob punktiert, die Zwischenräume glatt und konvex. Schultern rötlich.