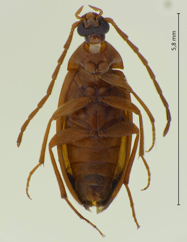
Isomira oculata (Marseul, 1876), フナガタクチキムシ

Familie: Tenebrionidae / Alleculinae / Alleculini

Verbreitung: Japan (Honshu, Shikoku, Kyushu, diverse kleinere Inseln), Russland.

Isomira oculata
19.7.2023; am Yasu-gawa; Kusatsu-shi; Präf. Shiga.

Die Art ist ziemlich einfach an ihren Augen zu erkennen, die fast den gesamten Kopf einnehmen und auf der Oberseite fast, auf der Unterseite ganz zusammenstoßen.

Isomira oculata
Unterseite; 19.7.2023; am Yasu-gawa; Kusatsu-shi; Präf. Shiga.