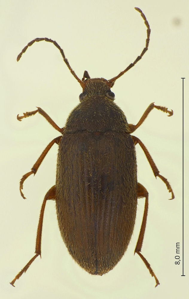
Borboresthes acicularis (Marseul, 1876), クリイロクチキムシ

Familie: Tenebrionidae / Alleculinae / Alleculini

Verbreitung: ganz Japan; Korea.

Borboresthes acicularis
1.7.2023; Kusatsu-shi; Präf. Shiga.