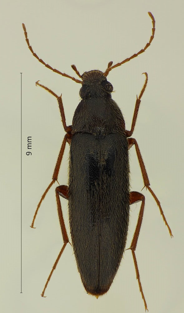
Synchroa melanotoides Lewis, 1895, ヒメコメツキガタナガクチキ

Familie: Synchroidae

Verbreitung: Japan (alle Hauptinseln, diverse kleinere, auch südliche Inseln); Ostrussland, eine weitere Verbreitung in Ostasien ist unklar.

Synchroa melanotoides
6.7.2023; Kusatsu; Präf. Shiga.

Die Familie besteht aus rund einem Dutzend Arten in Ostasien und Nordamerika. Ihre systematische Stellung ist nicht ganz klar: Manchmal werden die Arten auch als Unterfamilie Synchroinae in die Melandryidae eingeordnet. Auch über ihr Biologie weiß man recht wenig.

Synchroa melanotoides ähnelt im Habitus einer Allecula, aber die Klauen sind nicht gezähnt und der Halsschild hat an der Basis zwei Eindrücke, die auf dem Foto oben nur ansatzweise zu erkennen sind, bei passendem Lichteinfall aber sehr deutlich sind. Die Art ist in Japan nicht selten. 8,25-10,5 mm.