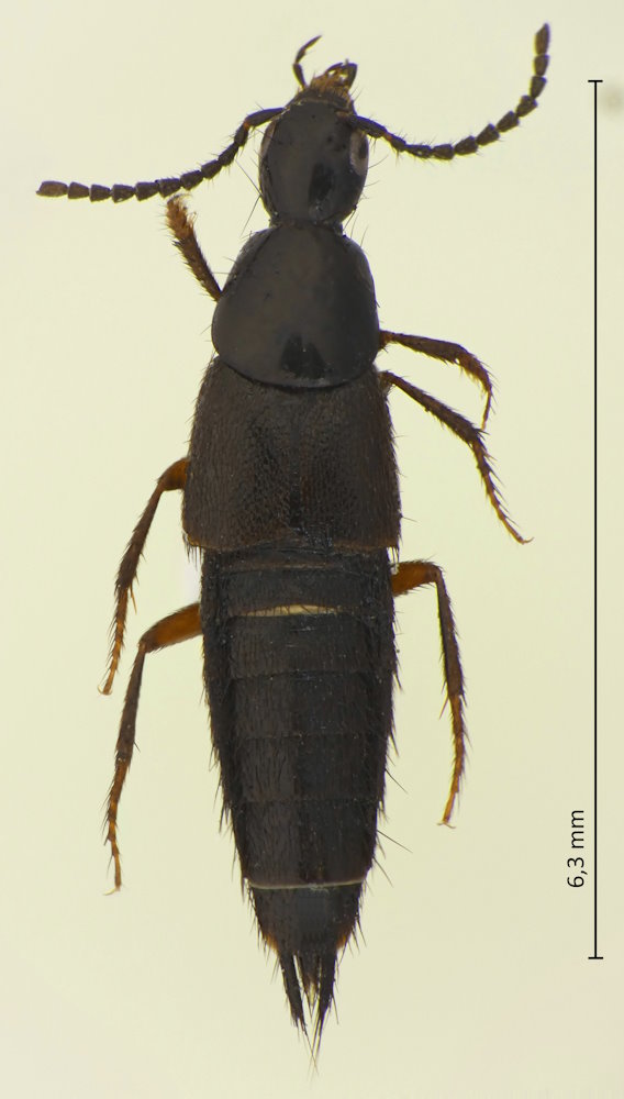
Philonthus sp.

Familie: Staphylinidae / Staphylininae / Staphylinini

Philonthus sp.
13.7.2023; Yashimagahara; Präf. Nagano.

Es gibt knapp 70 Arten der Gattung in Japan. Eine zusammenfassende Darstellung scheint es nicht zu geben. Nicht zu erkennen sind auf dem Foto die beiden Reihen mit je 4 Punkten auf dem Halsschild. Trotz einiger auffälliger Merkmale (bräunliche Färbung der Flügeldecken, Hautsaum am vorletzten Abdominalsegment, Gelenkheit zwischen dem 1. und 2. Segment, und der kleinen Größe) habe ich nicht herausfinden können, umd welche Art es sich handeln könnte.