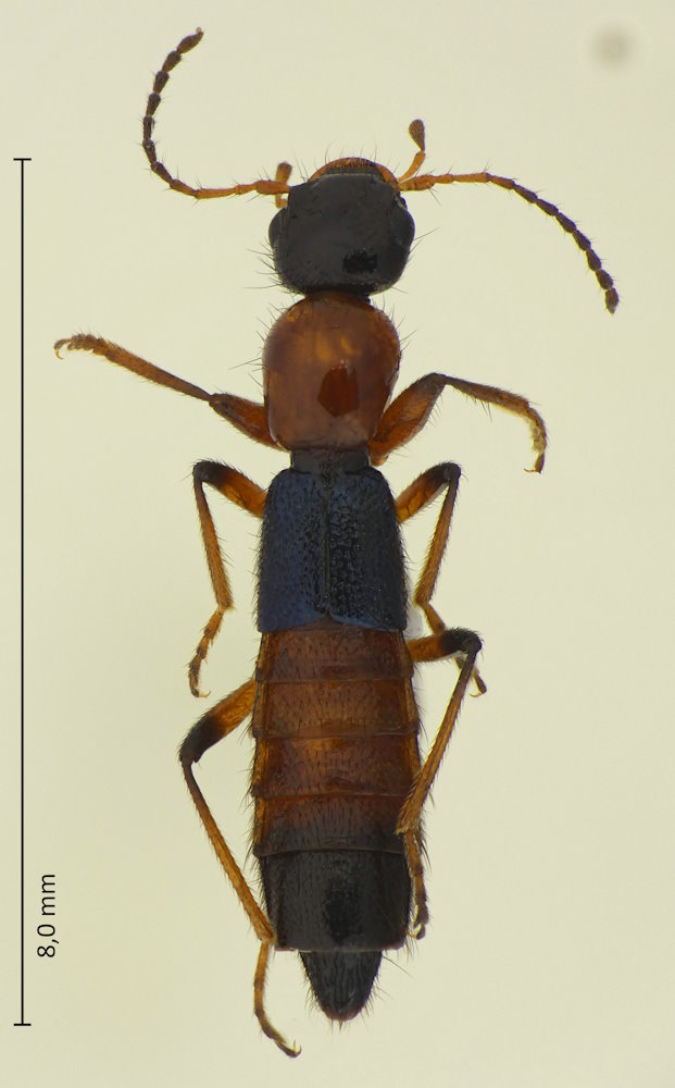
Paederus parallelus Weise, 1877, エゾアリガタハネカクシ

Familie: Staphylinidae / Paederinae / Paederini

Verbreitung: Japan (Hokkaido, Honshu, Shikoku), Korea, China.

Paederus parallelus
13.7.2023; Yashimagahara; Präf. Nagano.

Die Gattung enthält einige schlecht beschriebene Arten, die, soweit ich weiß, in den letzten Jahren mit bereits bekannten Arten synonymisiert worden sind. Die beiden Arten mit gelben Beinen, gelbem Halsschild und bis auf an der Spitze gelbem Hinterleibt sind parallelus und fuscipes. Davon hat parallelus längere Flügeldecken (ca. 1,5 mal so lang wie breit), einen längeren Halsschild und nur wenig backenförmig erweiterte Schläfen.