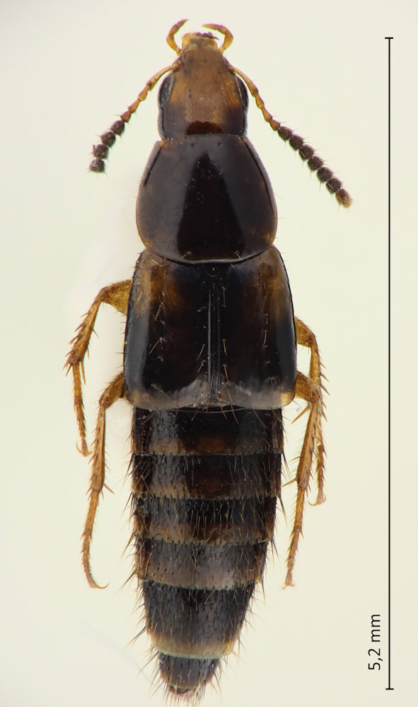
Lordithon pallidiceps (Sharp, 1888), ニセハネモンキノコハネカクシ

Familie: Staphylinidae / Mycetoporinae

Verbreitung: Japan (Honshu, Shikoku, Kyushu, Shimo-koshiki-jima), Taiwan.

Lordithon pallidiceps
2.7.2023; Hiradake; Otsu-shi; Präf. Shiga.

Ich habe nicht alle Arten der Gattung durchgesehen, aber diese hier scheint auf den ersten Blick aufgrund der Färbung des Kopfes und der Schultern unverwechselbar zu sein.