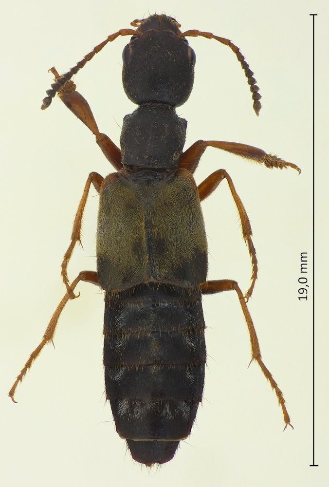
Eucibdelus japonicus Sharp, 1874, ハイイロハネカクシ

Familie: Staphylinidae / Staphylininae / Staphylinini

Verbreitung: Japan (Honshu, Shikoku, Kyushu, Awaji-shima, Kami-koshiki-jima, Shimo-koshiki-jima), Südkorea.

Eucibdelus japonicus
13.7.2023; Yashimagahara; Präf. Nagano.

Es gibt eine ganze Gruppe von Gattungen, die in Südostasien mit zahlreichen Arten vertreten ist, deren Taxonomie immer noch im Fluss ist. Eucibdelus japonicus ist in Japan aber ziemlich unverwechselbar und auch nicht selten.