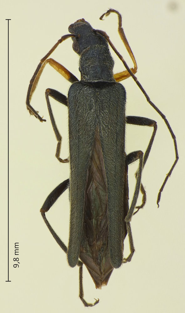
Oedemera manicata Lewis, 1895, キアシカミキリモドキ

Familie: Oedemeridae / Oedemerinae / Oedemerini

Verbreitung: Japan (Honshu, Shikoku, Kyushu, Oki-Inseln, Shôdo-shima, Shimo-koshiki-jima).

Oedemera manicata
13.7.2023; Yashimagahara; Präf. Nagano.

Wie in Europa auch sind die rein dunklen Arten der Gattung teilweise recht ähnlich. O. manicata ist aber an den hellen Vorderbeinen leicht zu erkennen.