Oedemera lucidicollis (Motschulsky, 1866), モモブトカミキリモドキ

Familie: Oedemeridae / Oedemerinae / Oedemerini

Verbreitung: Japan (von Hokkaido bis Kyushu).

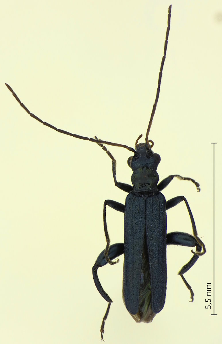
Oedemera lucidicollis (Männchen)
Männchen. 22.4.2025; Kurashiki-shi; Präf. Okayama.

Die mit 5,5-8 mm recht klein bleibende Art hat dunkle Beine und eine dunkle Unterseite. Die bläulichen Flügeldecken klaffen hinten deutlich auseinander. Der Halsschild ist glatt und glänzend, im Kontrast zum stärker skulpturierten Kopf und den Flügeldecken.

Wie bei vielen Oedemera-Arten haben die Männchen (oben) verdickte Hinterschenkel, während diese bei den Weibchen (unten) unauffällig sind.

Oedemera lucidicollis (Weibchen)
Weibchen. 22.4.2025; Kurashiki-shi; Präf. Okayama.