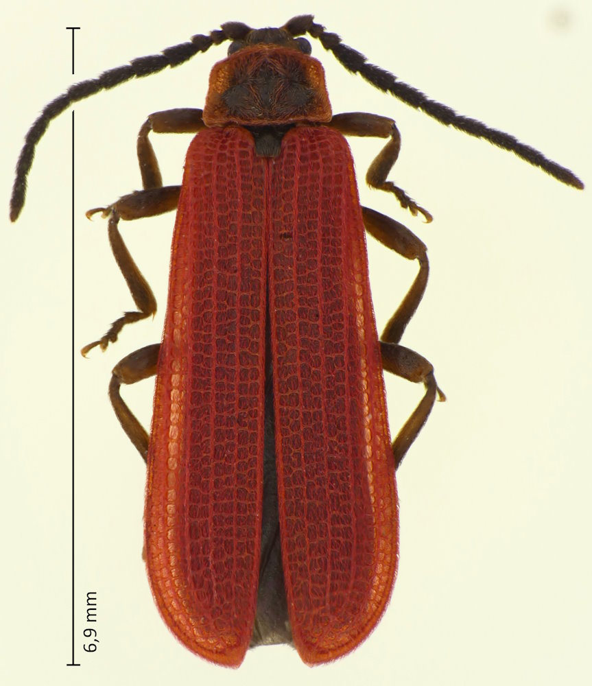
Punicealis medvedevi (Kazantsev, 1990), メダカヒシベニボタル

Familie: Lycidae / Dictyopterinae / Dictyopterini

Verbreitung: Japan (alle Hauptinseln), Kurilen, Ostrussland.

Punicealis medvedevi
18.4.2025. Mikami-yama, Yasu-shi; Präf. Shiga.

Charaketeristisch für diese Art sind die langen Trochanter der Hinterbeine, die ungefähr 2/3 der Länge der Hinterschenkel erreichen und am hinteren Rand in einen scharfen Zahn ausgezogen sind.

Exemplare dieser Art wurden bis vor einigen Jahrzehnten in Japan als Laterialis oculatus (Gorham, 1883) bezeichnet, noch davor als Dictyoptera oculata. 1990 stellte Kazantsev aber fest, dass das Typus-Exemplar dieser Art nicht zu den in Japan und Ostrussland gefundenen Exemplaren passt, so dass diese namenlos waren und von ihm in die Untergattung Punicealis der Gattung Dictyoptera gestellt und benannt wurden. Da das große Werk über die japanischen Lyciden von Nakane (1969) noch den alten Namen benutzt, findet man auch heute noch viele falsch benannte Bilder. Eine neuere Abhandlung der Lyciden der Gruppe findet man beispielsweise bei Matsuda (2012).

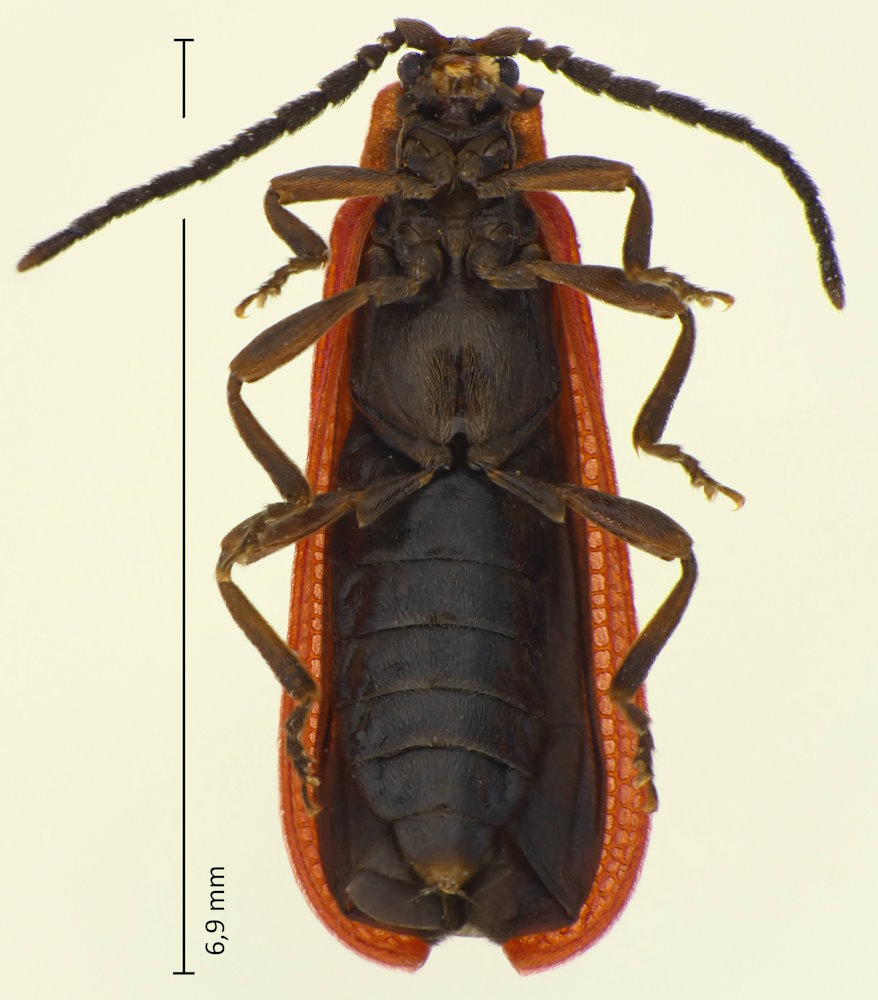
Punicealis medvedevi
18.4.2025. Mikami-yama, Yasu-shi; Präf. Shiga.