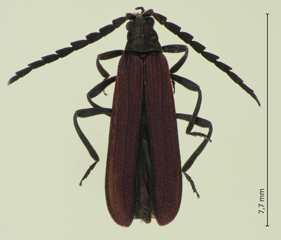
Mesolycus atrorufus (Kiesenwetter, 1879), ホソベニボタル

Familie: Lycidae / Ateliinae / Dilophotini

Verbreitung: Japan (von Hokkaido bis Yakushima), Kurilen, China.

Mesolycus atrorufus
19.7.2023; am Yasu-gawa; Kusatsu-shi; Präf. Shiga.

Charakteristisch für diese Gruppe von Lyciden sind gespaltene Klauen (die man auf dem Foto nicht erkennen kann), und die Ausbildung des Halsschilds mit nur einem Feld, kantenförmig erhabenen Rändern und einem Längsgrat, der vom Vorderrand ungefähr zur Mitte reicht.

Die Gattung befindet sich erst seit kürzerem im Tribus Dilophotini, wurde teils sogar mit der Gattung Dilophotes synonymisiert, was allerdings nicht haltbar scheint.