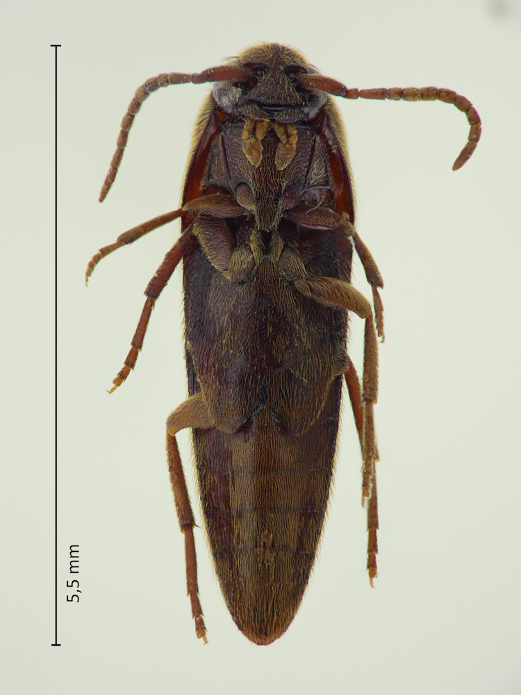
Fornax nipponicus Fleutiaux, 1923, コチャイロコメツキダマシ

Familie: Eucnemidae / Macraulacinae / Macraulacini

Verbreitung: ganz Japan, Taiwan.

Fornax nipponicus
28.7.2023; Kusatsu; Präf. Shiga.

Die meisten japanischen Fornax-Arten sind habituell recht ähnlich. Einen neueren Schlüssel habe ich nicht gefunden. Der folgende Schlüssel hat als Grundlage den von Fleutiaux (1923). Die Art consobrinus sowie die Zeichnungen wurden von Hisamatsu (1963) eingefügt. Nicht aufgeschlüsselt ist F. hachijonis, die nur auf einigen kleinen Inseln vorkommt. Eine Beschreibung dieser findet man bei Hisamatsu.

Meine Exemplare sind durchgehend kleiner als die Größenangaben von Fleutiaux und Hisamatsu. Vielleicht liegt daran, dass ich den Kopf nicht so weit aufgebogen haben, wie diese beiden.

1 Körper lang oval, aber kürzer als die anderen Arten, seine Seiten vorne wie hinten ziemlich gleichmäßig gerundet. Prosternalfortsatz abgestutzt. Dunkelbraun, mit sehr lockerer gelber Behaarung. Kopf dicht punktiert. 1. Fühlerglied groß, dicker als die folgenden, das 2. sehr kurz, das 3 halb so lang wie das 1., die folgenden ungefähr gleichlang. 7,5-11 mm. Honshu, Shikoku, Kyushu, Tsushima, Amami-Oshima.
Fornax lewisi Fleutiaux, 1923, フトチャイロコメツキダマシ
1* Körper verlängert, schon vor der Mitte nach hinten verschmälert, oder die Seiten deutlich parallel. Prosternalfortsatz zugespitzt. Färbung heller rotbraun. 2
2 Groß, 11-14 mm. Klauen gezähnt. Halsschild hinten außer den beiden punktförmigen Eindrücken mit einer kurzen seichten Mittelfurche. Rotbraun, mit gelber Behaarung. Kopf unregelmäßig punktiert. 1. Fühlerglied groß, gebogen, runzlig, dicker als die anderen, 2. klein, 3. halb so lang wie das 1., die folgenden ungefähr gleich lang. Ganz Japan.
Fornax victor Fleutiaux, 1923, オオチャイロコメツキダマシ
2* Kleiner, höchstens 9 mm. Klauen einfach. Halsschild hinten nur mit zwei punktförmigen Eindrücken, ohne Mittelfurche. 3
3 Körper keilförmig, die Flügeldecken fast von den Schultern an nach hinten verschmälert. Das 3. Fühlerglied doppelt so groß wie das 4., die folgenden dann nach und nach größer werdend. Halsschild mäßig fein punktiert. 6-7 mm. Ganz Japan; Taiwan.
Fornax nipponicus Fleutiaux, 1923, コチャイロコメツキダマシ
3* Körper mehr parallelseitig. Das 3. Fühlerglied 1,3-1,5 mal so lang wie das 4. (Nach den Bilden bei Seung & Muona 2017 sogar noch kürzer, manchmal das 4. kaum länger als das 3. so wie bei meinem Exemplar). Halsschild grob und dicht punktiert (bei meinem Exemplar fast runzlig, aber auf dem Foto nicht zu erkennen). (Meines Eindrucks nach sind auch die Beine dieser Art deutlich schlanker gebaut.) Größer, 8,2-8,5 mm. Ganz Japan.
Fornax consobrinus Hisamatsu, 1963, ヒメチャイロコメツキダマシ

Aufgrund des sehr kurzen 4. Fühlerglieds (auch wenn die Proportionen der einzelnen Fühlerglieder meines Exemplar leicht von der Zeichnung bei Hisamatsu abweichen), der geringen Körpergröße, die sogar die in der Literatur angegebenen Maße von nipponicus sowie des deutlich keilförmigen Körpers müsste sich bei meinem Exemplar um Fornax nipponicus handeln.

Fornax nipponicus
Unterseite; 28.7.2023; Kusatsu; Präf. Shiga.