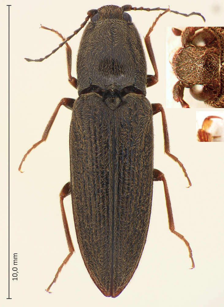
Platynychus nothus (Candèze, 1865), オオハナコメツキ

Familie: Elateridae / Cardiophorinae

Verbreitung: ganz Japan, China.

Platynychus nothus
21.4.2025; Otsu-shi; Präf. Shiga.

Die japanischen Platynychus-Arten haben stark gezähnte Klauen und auf der Oberseite eine eher zottige goldgelbe Behaarung. Auffällig fand ich hier auch die Ausbildung von dreieckigen, durch Kielen begrenzten Flächen auf dem Kopfschild vor den Augen.