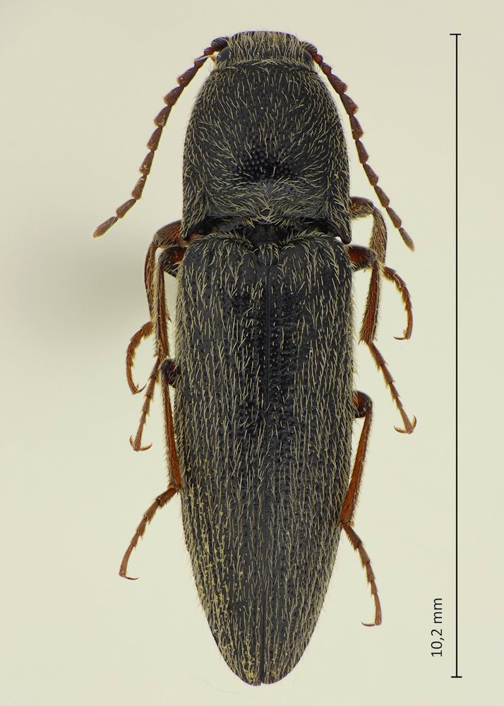
Melanotus cf. senilis Candèze, 1865, クロクシコメツキ

Familie: Elateridae / Elaterinae / Melanotini

Verbreitung: ganz Japan.

Melanotus cf. senilis
2.7.2023; Hiradake; Otsu-shi; Präf. Shiga.

Die Gattung ist in Japan mit zahlreichen und schwer zu unterscheidenden Arten vertreten. Die Art M. senilis scheint nicht selten zu sein. Sie ist 10-17 mm und lang grauweiß behaart. Die ganze Oberfläche ist relativ grob punktiert. Ob es sich wirklich um diese Art handelt, oder um einer der anderen, selteneren Arten, weiß ich nicht.