Elateridae sp.

Familie: Elateridae

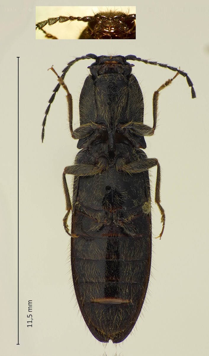
Elateridae sp.
12.7.2023; Tateshina; Präf. Nagano.

Bei dem Exemplar weiß ich nicht so richtig, um was es sich handeln könnte. Auffällig hier ist der dunkle blaue Glanz der Flügeldecken und die Tarsen, bei denen das 2. und 3. Glied durch einen lamellenförmigen Fortsatz unter das folgende Tarsenglied verlängert ist. Vermutlich gehört es in die Gruppe Liotrichus / Acteniceromorphus. Liotrichus hypocrita (Lewis, 1894) scheint so ähnlich auszusehen. Allerdings ist die Originalbeschreibung recht allgemein gehalten, auch der blaue Schimmer wird dort nicht erwähnt.

Elateridae sp.
Kopf und Unterseite; 12.7.2023; Tateshina; Präf. Nagano.

Man kann es auf den Bilden nicht genau erkennen, aber das 3. Fühlerglied ist fast so lang wie das 4. und lang dreieckig.