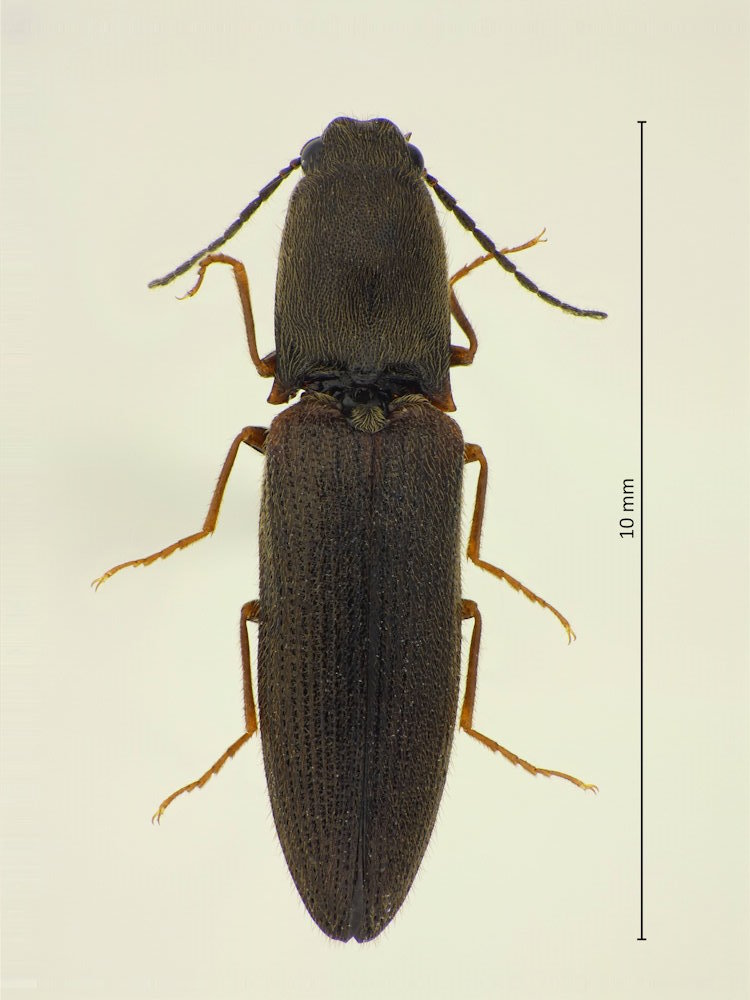
Athousius humeralis (Miwa, 1927), カタモンホソツヤハダコメツキ

Familie: Elateridae / Dendrometrinae / Dendrometrini

Verbreitung: Japan (Honshu, Shikoku, Kyushu); Korea.

Athousius humeralis
11.7.2023; Tateshina; Präf. Nagano.

Die Gattungsaufteilung dieser Gruppe ist, wie es mit scheint, immer noch nicht wirklich klar. Diese Art zeichnet sich durch folgende Merkmale aus:

Athousius humeralis
13.7.2023; Tateshina; Präf. Nagano.