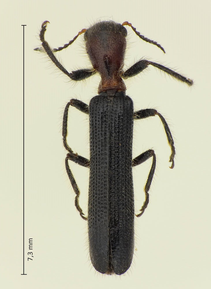
Cladiscus obeliscus Lewis, 1892, ホソカッコウムシ

Familie: Cleridae / Tillinae

Verbreitung: Japan; Taiwan.

Cladiscus obeliscus
21.7.2023; Sasamagadake; Otsu; Präf. Shiga.

Ähnlich ist höchtens noch C. pallidicornis von den Ryukyus mit rotem Kopf.