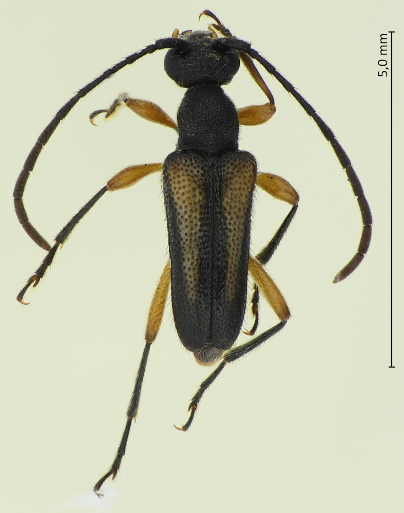
Pseudalosterna misella (Bates, 1884), チャボハナカミキリ

Familie: Cerambycidae / Lepturinae / Lepturini

Verbreitung: Japan (von Honshu bis Kyushu einschl. diverser kleinerer Inseln).

Pseudalosterna misella
19.7.2023; am Yasu-gawa; Kusatsu-shi; Präf. Shiga.

Es herrscht bei den Taxonomen Uneinigkeit darüber, ob P. misella tatsächlich eine eigene Art ist, oder eine Unterart von der in Ostasien weiter verbreiteten P. elegantula (Kraatz, 1879). Ich persönlich sehe auf Bildern da wenig Unterschiede.