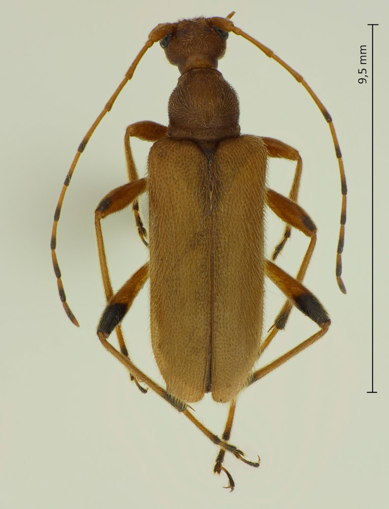
Pidonia aegrota (Bates, 1884), チャイロヒメハナカミキリ

Familie: Cerambycidae / Lepturinae / Rhagiini

Verbreitung: Japan außer Hokkaido und Ryukyus.

Pidonia aegrota
2.7.2023; Hiradake; Otsu-shi; Präf. Shiga.

Diese Art kommt gar nicht selten auch in tiefer gelegenem Waldland vor. Unter den zahlreichen Arten der Gattung zeichnet sie sich durch folgende Merkmale aus: