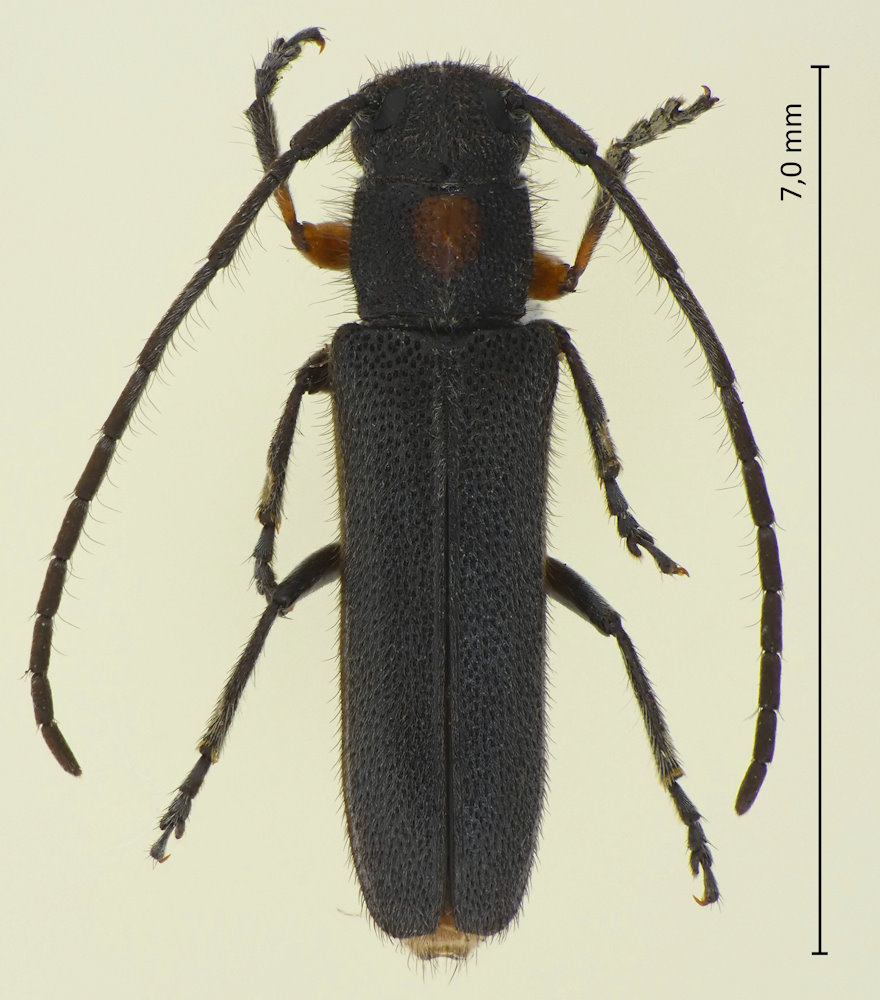
Phytoecia rufiventris Gautier des Cottes, 1870, キクスイカミキリ

Familie: Cermabycidae / Lamiinae / Phytoeciini

Verbreitung: ganz Japan, Ostasien nach Westen bis in die Mongolei, nach Süden bis Taiwan.

Phytoecia rufiventris
13.7.2023; Yashimagahara; Präf. Nagano.