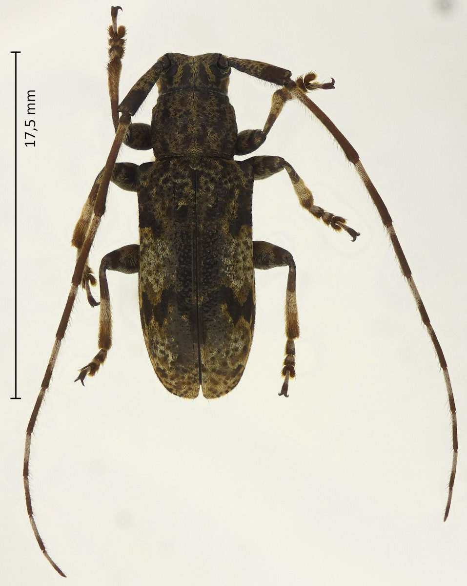
Mesosa longipennis Bates, 1873, ナガゴマフカミキリ

Familie: Cerambycidae / Lamiinae / Mesonini

Verbreitung: ganz Japan, gemäßigtes Ostasien.

Mesosa longipennis
10.7.2014; Otsu; Präf. Shiga.

Die Art eine der häufigeren der Gattung in Japan und in der Regel einigermaßen gut an der Zeichnung zu erkennen, die bei dem Exemplar auf dem Bild allerdings schon recht abgerieben ist und normalerweise noch kontrastreicher ist. Auf dem Halsschild befinden sich drei stumpfe Buckel, die auf Fotos in Aufsicht meist nicht gut erkennen sind.

Die Taxonomie der Gattung scheint meines Eindrucks nach noch im Fluss zu sein, und die Arten werden je nach Autor unterschiedlichen Untergattungen zugeordnet, oder in andere Gattungen ausgegliedert. Die Art longipennis wird meist der Untergattung Aplocnemia oder der Untergattung Aphelocnemia zugeordnet.