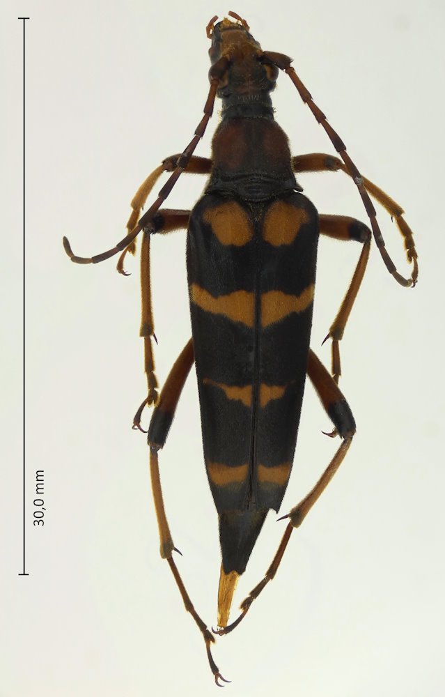
Macroleptura regalis (Bates, 1884), オオヨツスジハナカミキリ

Familie: Cerambyidae / Lepturinae / Lepturini

Verbreitung: Japan (von Hokkaido bis Yakushima); Korea, China.

Macroleptura regalis
7.7.2014; Kutsuki; Takashima-shi; Präf. Shiga.

Die Art wurde verschiedenen Gattungen zugeordnet und hieß schon Leptura regalis, Noona regalis oder Bellamira regalis. Sie zeichnet sich gegenüber den anderen Leptura-Arten schon durch ihre Größe (mindestens 20 mm, meist deutlich über 25 mm) aus, weiterhin durch die kürzeren Fühler, die selbst bei den Männchen nur ungefähr bis zur Körpermitte reichen, sowie den 3. Gliedern der Hintertarsen, die ungefähr bis zur Mitte ausgeschnitten sind.

In Japan kommt noch eine weitere Macroleptura-Art vor, M. thoracica, die aber einfarbig rote oder schwarze Flügeldecken hat, während M. regalis 3-4 gelbe oder rote Querbinden hat, die auch in einzelne Makel aufgelöst sein können.