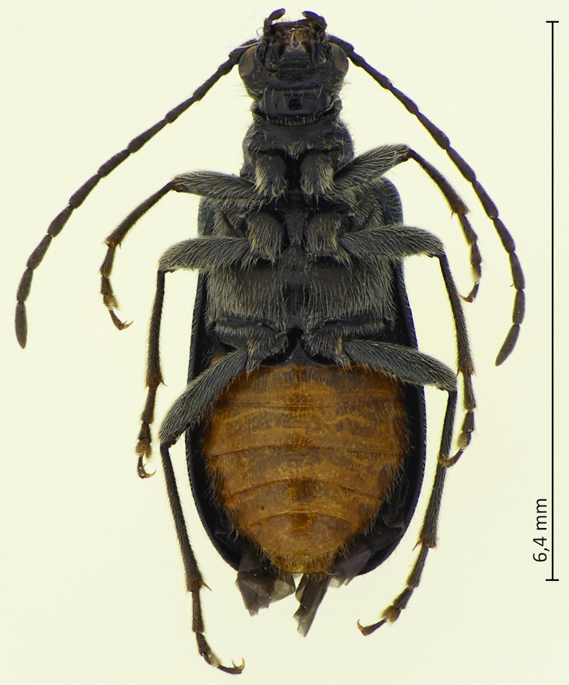
Dinoptera minuta (Gebler, 1832), ヒナルリハナカミキリ

Familie: Cerambyidae / Lamiinae / Acmaeopini

Verbreitung: Japan (von Hokkaido bis Kyushu); Ostasien.

Dinoptera minuta
20.4.2025; Omihachiman; Präf. Shiga.
Dinoptera minuta, Unterseite
20.4.2025; Omihachiman; Präf. Shiga.