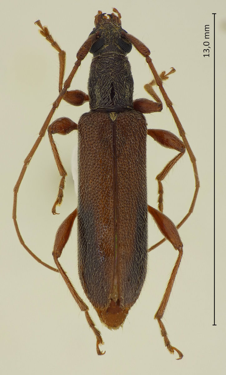
Ceresium fuscum Matsumura & Matsushita, 1932, リュウキュウヒメカミキリ

Familie: Cerambycidae / Cerambycinae / Callidiopini

Verbreitung: Japan (außer Hokkaido).

Ceresium fuscum
28.7.2023; Kusatsu; Präf. Shiga.

Die Arten der Gattung scheinen farblich recht variabel zu sein. Die meisten sind wohl einfarbig rotbraun, es gibt aber wohl auch dunkle Exemplare. Meine Exemplar hat schöne Flügeldecken, die hinten an der Seite schwarz gefärbt sind. Die Unterscheidung der einzelnen Arten erfolgt in den meisten Schlüssel hauptsächlich nach der relativen Länge der Fühlerglieder. Bei C. fuscum ist das Fühlerglied 1 länger als 3, und 3 länger als 4.