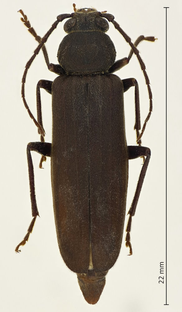
Arhopalus coreanus (Sharp, 1905), サビカミキリ

Familie: Cerambyidae / Spondylinae / Asemini

Verbreitung: Japan; Ostasien

Arhopalus coreanus
7.7.2014; Kutsuki; Takashima-shi; Präf. Shiga.

Die Unterschiede zur eurasisch verbreiteten Art A. rusticus, die Japan auf Hokkaido und den nördlichen Inseln vorkommt, scheinen nicht so richtig klar zu sein. Der Halsschild scheint bei coreanus matt zu sein, bei rusticus glänzend. Die Fühlerglieder sind länger, aber meines Eindrucks nach werden die Unterschiede durch individuelle Variabilität stark überlagert. Ähnliches gilt für das von Sharp angegebene Merkmal, dass der Halsschild bei coreanus 4 mal so lang wie die Flügeldecken ist, bei rusticus 5 mal.