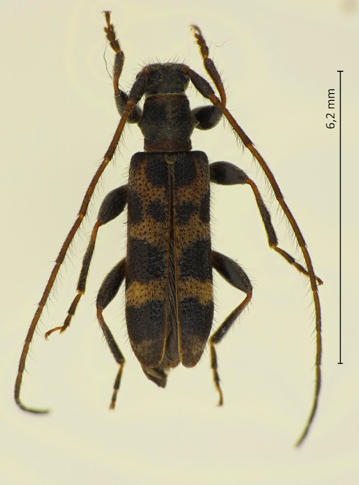
Arhopaloscelis nipponensis (Pic, 1932), フタオビアラゲカミキリ

Familie: Cerambycidae / Lamiinae / Apodasyini

Verbreitung: Japan (Hokkaido bis Kyushu).

Arhopaloscelis nipponensis
12.7.2023; Tateshina; Präf. Nagano.