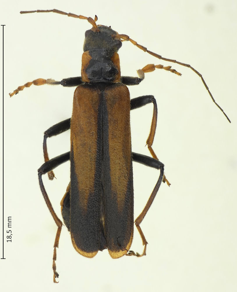
Lycocerus suturellus (Motschulsky, 1861), ジョウカイボン

Familie: Cantharidae / Cantharinae / Cantharini

Verbreitung: Japan (von Hokkaido bis Yakushima).

Lycocerus suturellus
11.7.2023; Tateshina; Präf. Nagano.

Die Art gehört mit über 14 mm zu den größeren der Gattung. Bei der Bestimmung bin ich mir nicht sicher, da es diverse erst in jüngerer Zeit beschriebene Arten gibt, deren Beschreibungen ich nicht auftreiben konnte.