Die Taxonomie der Cantharinae in Ostasien ist noch ziemlich instabil und die Anordnung der Arten in Gattungen wechselt hin und wieder. Auch diese Art hat eine kleine Reise hinter sich. Ursprünglich von Wittmer (1953) als Rhagonycha longipes beschrieben, wurde sie dann der Gattung MicropodabrusPic, 1920 zugewiesen, im Jahre 2009 dann in die Gattung FissocantharisPic, 1921 verschoben, welche 2019 in CephalomalthinusPic, 1921 umbenannt wurde.
Eine neuere Abhandlung der Gruppe oder eine neuere Beschreibung der Art habe ich nicht gefunden, aber meine Exemplare haben einige sehr auffällige Merkmale, die gut mit der Beschreibung von Wittmer übereinstimmen:
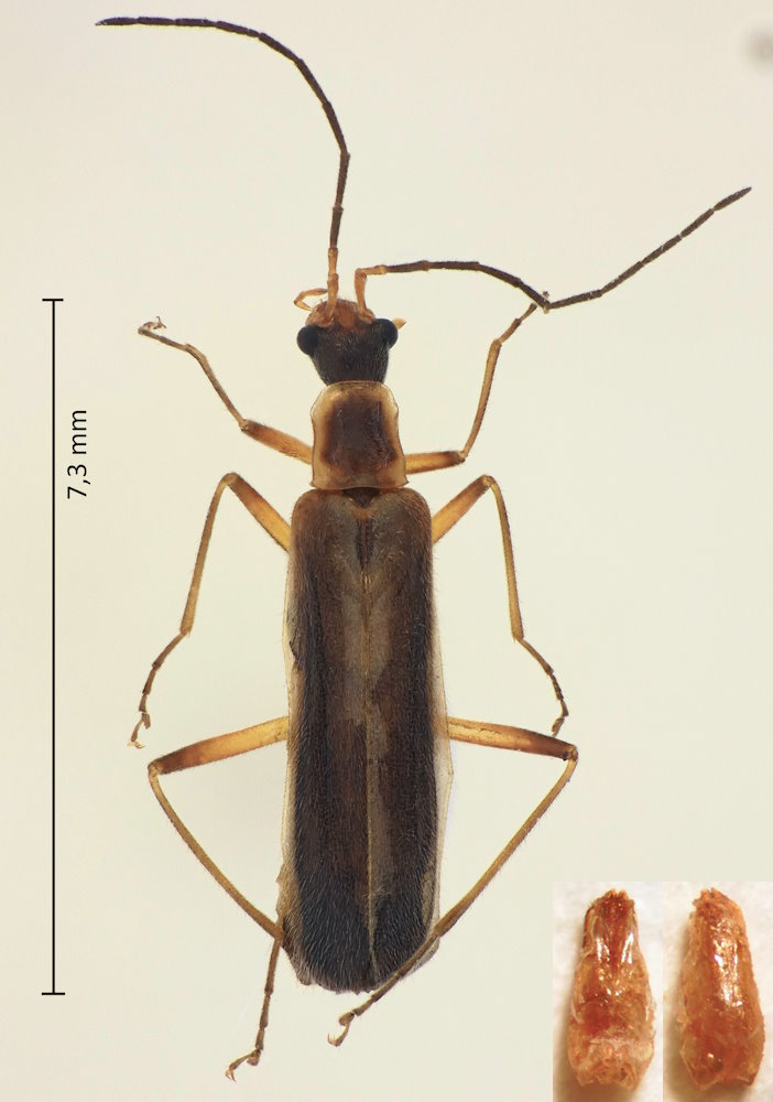
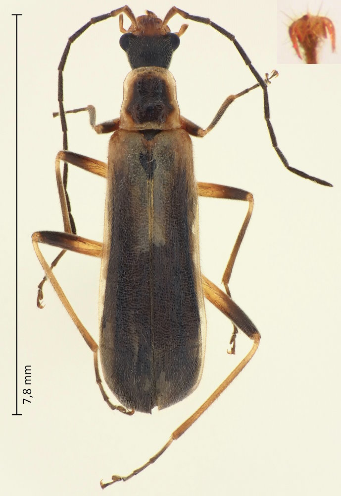
Halsschild braun bis dunkelbraun, ringsum schmal gelb eingefasst, etwas länger als an der Basis breit, nach vorne konisch verengt, vor der Mitte schwach ausgerandet.
Halsschild mit zwei Längsbeulen, die gegen die Basis breiter und höher sind als vorne, und voneinander durch eine Längsmulde mit angedeuteter Längslinie getrennt sind.
Alle Klauen bei beiden Geschlechtern an der Basis gezähnt.
Augen stark vorstehend, breiter als der Halsschild.
Fühler sehr dünn und fadenförmig, meist die ersten beiden Glieder hell.
Flügeldecken heller oder dunkler braun bis dunkelbraun, die Seiten und die Naht ± deutlich aufgehellt. Beine gelb, die Knie manchmal braun angedunkelt.
Literatur:
Nakamura R.: Some Taxonomical Notes on Japanese Cantharidae (Coleoptera). Elytra, New Series, 13 (1): 75–78.
Wittmer W.: 15. Beitrag zur Kenntnis der Palaearktischen Malacodermata, Col.. Entomological Review of Japan 6 (1953): 35-37.