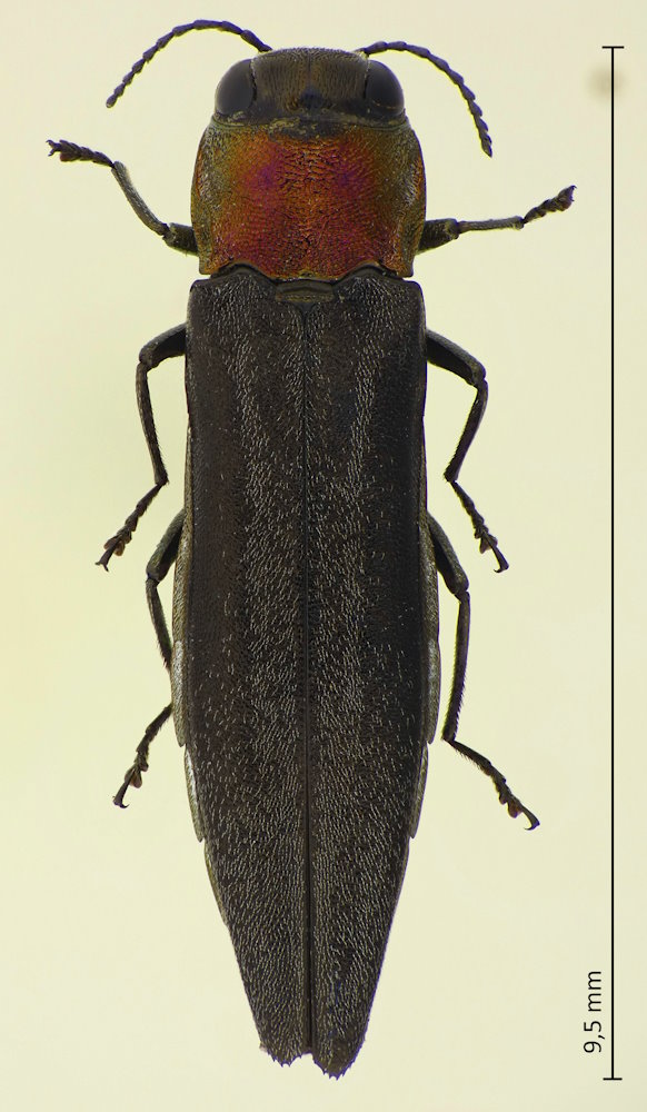
Agrilus imitans Lewis, 1893, ムネアカナガタマムシ

Familie: Buprestidae / Agrilinae

Verbreitung: Japan (von Hokkaido bis Kyushu).

Agrilus imitans
22.4.2025; Kurashiki-shi; Präf. Okayama.

Es gibt in Japan einige Arten, die recht ähnlich werden können. A. spinipennis hat im hinteren Viertel der Flügeldecken zwei kleine weißliche Makel, und die Flügeldeckenspitze ist ein einen (einzigen) großen Zahn ausgezogen. A. asiaticus bleibt meist kleiner, und die Unterseite ist mit zahlreichen weißen Haarmakeln besetzt, während hier nur die Seiten der Abdominalsegmente etwas heller behaart sind.