Habrissus longipes (Sharp, 1891), ナガアシヒゲナガゾウムシ

Familie: Anthribidae / Anthribinae / Corrhecerini

Verbreitung: Japan (alle Hauptinseln, Izu-Inseln, Oki-Inseln), Ostrussland.

Habrissus longipes
19.7.2023; am Yasu-gawa; Kusatsu-shi; Präf. Shiga.

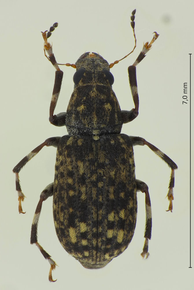
Die Arten dieser Gattung sind im Habitus und im Detail so unterschiedlich, dass ich persönlich nicht glaube, dass sie monophyletisch ist. Auffällig ist vor allem die ganz gerade abgeschnittene und nur streckenweise gerandete Basis der Flügeldecken.

Bei H. longipes ist die Zeichnung der Flügeldecken etwas variabel - oft sind die hellen Flecken im hinteren Teil der Flügeldecken zu größeren Makeln verschmolzen. Die Querleiste des Halsschilds ist in weitem Bogen gleichmäßig gerundet.